Pigeon Pea
Cajanus cajan
Crop Overview
Pigeon pea (Cajanus cajan [L.] Millsp.) is a leguminous plant in the family Fabaceae. It is one of the few domesticated species in the genus Cajanus, which includes about 32 wild relatives found across South and Southeast Asia, as well as parts of Africa and Australia.
The crop’s center of origin is widely recognized as the Indian subcontinent, where its domestication took place approximately 3,500 years ago. From India, pigeon pea spread to Africa and then to the Americas through trade and colonial routes. Today, it is grown extensively across tropical and subtropical regions, including South Asia, Eastern and Southern Africa, the Caribbean, and parts of Latin America.
Common names reflect its widespread geographical diffusion: it is called “arhar” or “tur” in India, “gungo” or “gandules” in the Caribbean, “mbaazi” in Swahili-speaking East Africa, and “pigeon pea” in English-speaking regions. These names emphasize both its local significance and long history of adaptation to different agro-ecological and cultural environments.
Characteristics, Cultivation, and Agricultural Practices
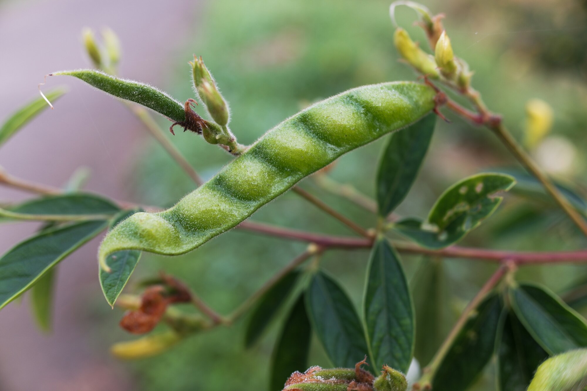
Pigeon pea is a deep-rooted, drought-tolerant, perennial shrub commonly cultivated as an annual crop. It grows to a height of 1–4 meters, with woody stems, trifoliate leaves, and an indeterminate growth habit. The plant’s flowers are usually yellow with purple streaks, followed by pods containing 2–9 seeds that range in color from cream and brown to red or mottled patterns, depending on the variety.
Agronomically, pigeon pea is valued for its adaptability to marginal environments. It thrives in warm climates with annual rainfall between 600 and 1,000 mm and performs well in a wide range of soils, including light-textured, low-fertility soils where other pulses fail. Optimal growth occurs at temperatures between 25°C and 35°C. Its symbiotic relationship with Rhizobium bacteria enables atmospheric nitrogen fixation, which enhances soil fertility and makes it a key component of sustainable cropping systems.
Crop cultivation practices differ by maturity types: early-maturing (90–120 days), medium (150–180 days), and long-duration (>200 days) varieties. Farmers choose types based on rainfall patterns and land availability. Pigeon pea is often intercropped with cereals like maize, sorghum, or millets, or with short-duration legumes such as cowpea and groundnut, to maximize land productivity and reduce risk. Minimal external inputs are needed; however, integrated nutrient and pest management improve yield stability.
Major production constraints include pod borers (Helicoverpa armigera), wilt caused by Fusarium udum, and sterility mosaic disease. Management strategies involve using resistant varieties, crop rotation, biological control, and cultural practices such as deep plowing and sanitation. The crop is harvested when pods turn brown, and then it is threshed to separate the seeds for consumption or planting.
Nutritional, Economic, and Medicinal Value
Nutritionally, pigeon pea is a vital source of plant-based protein, playing a significant role in meeting dietary needs in developing regions. Seeds contain 18–25% protein, 1–2% fat, and 60–65% carbohydrates. The crop also provides essential amino acids, especially lysine and methionine, which complement cereal-based diets. It offers dietary fiber, minerals like iron, calcium, phosphorus, and potassium, and vitamins including folate and thiamine. Green pigeon peas, eaten as a vegetable, add freshness and variety to local diets, while dried seeds are a staple ingredient in stews, soups, and pulse flours.
Economically, pigeon pea plays a crucial role in the livelihoods of smallholder farmers. It serves as both a food and cash crop, sold locally and internationally, especially from India, Myanmar, Malawi, and Tanzania. The crop’s by-products — leaves, husks, and stems — are used as livestock feed and fuelwood, supporting household sustainability. Additionally, its ability to enhance soil fertility lowers fertilizer costs for future crops, boosting long-term farm productivity.
Medicinally, pigeon pea has traditional uses in several cultures. Leaves, roots, and seeds are used in ethnomedicine as anti-inflammatory, antipyretic, and diuretic agents. Decoctions of leaves are applied to treat sores, coughs, and respiratory infections, while seed extracts have been studied for potential antioxidant and antidiabetic effects.
Cultural Importance
Pigeon pea holds significant cultural and social value in many parts of the world. In India, it is essential to traditional diets and culinary identities, forming the foundation of staple dishes such as dal and sambar. Its presence in rituals and festivals highlights its connection to sustenance and prosperity. Similarly, in the Caribbean, pigeon peas appear in national dishes — for example, “rice and peas” in Jamaica and “pelau” in Trinidad and Tobago — representing communal heritage and festive celebration.
Beyond cuisine, pigeon pea plays a role in traditional ecological knowledge systems. Farmers value it not only for food but also for its multifunctionality: as a hedge plant, a soil improver, and a source of shade and windbreak. Its integration into local cropping calendars shows a deep cultural understanding of ecological balance and resource use, passed down through generations.
Gender Perspectives
Gender dynamics play a vital role in pigeon pea production and use. In many smallholder systems, women are responsible for seed selection, storage, processing, and local marketing. Their knowledge shapes varietal preferences for taste, cooking quality, and storage life. Women also rely on pigeon pea as a food security crop, especially during dry seasons when other foods are limited, highlighting its significance in household nutrition.
However, despite their central role, women often face barriers to accessing land, improved seed, and agricultural extension services. Limited participation in formal decision-making processes in agriculture restricts their ability to influence research and policy agendas. Gender-sensitive breeding programs, those that incorporate women’s preferences for cooking time, taste, and ease of processing, have demonstrated that recognizing gendered knowledge can increase adoption rates and strengthen food system resilience.
Why is the Crop Underutilized?
Despite its agronomic and nutritional potential, pigeon pea remains underutilized worldwide. Several factors contribute to this situation. First, the crop has historically received limited investment in research and development compared to major pulses like chickpea or lentil. As a result, genetic improvement, mechanization, and post-harvest innovations are still modest.
Second, market infrastructure and value chains are underdeveloped in many regions. Inconsistent demand, fluctuating prices, and the absence of standardized grading systems diminish incentives for farmers and traders. Third, pigeon pea faces a perception issue — in some contexts, it is regarded as a “poor man’s crop,” which leads to declining consumption among urban populations. Additionally, its long growth period compared to other legumes deters adoption in intensive farming systems where quick returns are favored.
Diversity Available in Genesys
As of December 2025, Genesys, the online platform that provides information on plant genetic resources conserved in genebanks, lists 17,605 C. cajan samples. The largest holdings are located at:
- International Crop Research Institute for the Semi-arid Tropics (ICRISAT) in India– 13,226 samples
- Genetic Resources Research Institute (GeRRI) in Kenya – 1,392 samples
- National Plant Genetic Resource Laboratory (NPGRL) in the Philippines – 481 samples
Current Breeding Efforts
Recent breeding initiatives, primarily led by the International Crops Research Institute for the Semi-Arid Tropics (ICRISAT) and national agricultural programs, have advanced the genetic improvement of pigeon pea. Key objectives include developing high-yielding, disease-resistant, and short-duration varieties to suit diverse environments. The introduction of cytoplasmic male sterility (CMS) systems has enabled the production of the world’s first commercial pigeon pea hybrids, offering yield advantages of 30–50% over conventional varieties.
Molecular breeding and genomics are also transforming pigeon pea research. The sequencing of its genome has enabled marker-assisted selection for traits like Fusarium wilt resistance, drought tolerance, and early maturity. Participatory breeding programs are increasingly involving farmers — especially women — in choosing varieties that match local preferences for cooking quality and taste.
Future breeding goals focus on enhancing nutritional quality (such as increasing iron and zinc levels), improving mechanical harvesting traits, and adapting varieties to climate variability. Strengthening seed systems, encouraging farmer-led seed enterprises, and integrating pigeon pea into sustainable intensification programs are essential for expanding its impact.
Related projects
- Power of Diversity Funding Facility






